Aadhanur is a thoughtfully planned Premium Villa and Commercial PLots project by A SQUARE PROPERTIES located near Chetpet, Tamil Nadu. Designed for modern living and long-term value, Aadhanur offers well-laid plots in a strategic growth area with excellent connectivity and future potential. With clear documentation, quality infrastructure planning, and transparent pricing, Aadhanur is ideal for homebuyers and investors seeking secure and rewarding real estate opportunities.

Highlights & Amenities

Amenities

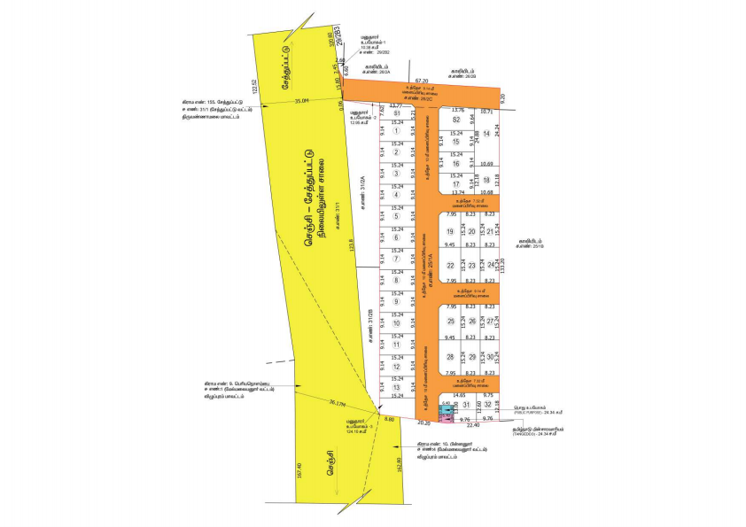
  • LED Street Lights, Rain water Drainage System, Quality drinking water Borewell, Plots spread Across An Extent of 1.845 Acres, 32 Residential and 2 Commercial Plots, Upto 33 ft Wide Roads

Map View

Brochures & Documents

Download Brochure
Download Brochure
Download

Features & Specifications

DTDC Approved Plots,

RERA Approved,

Proper Road Gift Title Dead to Town Panchayat,

100% clear and Perfect Documents,

Ready to Construct Premium Villa Community,

Post Purchase Guidance for hassle free Construction

Turning Your Dreams into Reality, One Home at a Time!

Discover Your Ideal Home Today!"

Get in Touch